0 Butterfield Stage RoadTemecula, CA 92591
Due to the health concerns created by Coronavirus we are offering personal 1-1 online video walkthough tours where possible.


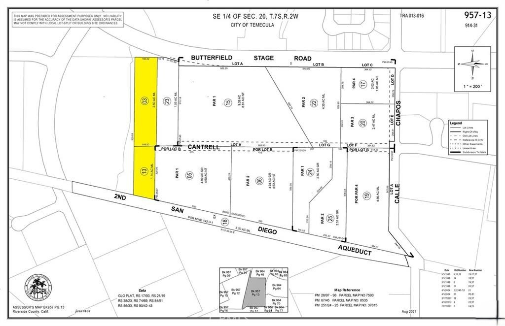
Discover two adjoining parcels totaling 3.64 acres on Butterfield Stage Rd in Temecula, offering a rare opportunity in a prime and rapidly developing area. These spacious properties provide excellent potential for a variety of future uses whether for agricultural purposes such as storing nursery stock, or long-term investment in a highly desirable corridor. Zoned Very Low Density Residential (VLDR), the designation allows ancillary structures on large lots, with limited agriculture permitted, property may not be buildable due to natural flood plain. Title report shows property currently does not possess legal easement, buyer will have to obtain, owner selling as is. ****No soils reports, surveys, etc., have been done. Buyer and buyer's agent to verify all information with the city or county for allowable uses and requirements and rely on their own investigations. **Buyer responsible for checking zoning, utilities, permits and exact property boundaries. ****
| a week ago | Listing first seen on site | |
| a week ago | Listing updated with changes from the MLS® |
This information is for your personal, non-commercial use and may not be used for any purpose other than to identify prospective properties you may be interested in purchasing. The display of MLS data is usually deemed reliable but is NOT guaranteed accurate by the MLS. Buyers are responsible for verifying the accuracy of all information and should investigate the data themselves or retain appropriate professionals. Information from sources other than the Listing Agent may have been included in the MLS data. Unless otherwise specified in writing, the Broker/Agent has not and will not verify any information obtained from other sources. The Broker/Agent providing the information contained herein may or may not have been the Listing and/or Selling Agent.

Did you know? You can invite friends and family to your search. They can join your search, rate and discuss listings with you.